Постановление Правительства Москвы от 01.12.2022 N 2695-ПП "Об утверждении проекта планировки территории вблизи деревни Румянцево поселения Московский города Москвы"
ПРАВИТЕЛЬСТВО МОСКВЫ
ПОСТАНОВЛЕНИЕ
1 декабря 2022 г. N 2695-ПП
Об утверждении проекта планировки территории вблизи деревни Румянцево поселения Московский города Москвы
В соответствии с Градостроительным кодексом Российской Федерации, Законом города Москвы от 25 июня 2008 г. N 28 "Градостроительный кодекс города Москвы", постановлениями Правительства Москвы от 28 марта 2017 г. N 120-ПП "Об утверждении правил землепользования и застройки города Москвы", от 30 апреля 2019 г. N 449-ПП "Об утверждении Положения о составе, порядке подготовки, согласования и представления на утверждение проектов планировки территории в городе Москве", от 22 марта 2022 г. N 438-ПП "О реализации положений пункта 2 статьи 7 Федерального закона от 14 марта 2022 г. N 58-ФЗ "О внесении изменений в отдельные законодательные акты Российской Федерации" Правительство Москвы постановляет:
1. Утвердить проект планировки территории вблизи деревни Румянцево поселения Московский города Москвы (приложение).
2. Контроль за выполнением настоящего постановления возложить на заместителя Мэра Москвы в Правительстве Москвы по вопросам градостроительной политики и строительства Бочкарева А.Ю.
Мэр Москвы С.С.Собянин
Приложение
к постановлению Правительства Москвы
от 1 декабря 2022 г. N 2695-ПП
Проект планировки территории вблизи деревни Румянцево поселения Московский города Москвы
1. Положение о планировке территории
1.1. Пояснительная записка
Территория в границах подготовки проекта планировки территории расположена в поселении Московский города Москвы и ограничена:
- с севера - территорией жилого комплекса "Румянцево-Парк";
- с юга и востока - транспортной развязкой на пересечении Киевского шоссе с Родниковой и Саларьевской улицами;
- с запада - проектируемым проездом N 8160.
Площадь территории в границах подготовки проекта планировки территории составляет 46,0 га.
Транспортное обслуживание проектируемой территории осуществляется по магистральной улице общегородского значения I класса - Киевскому шоссе.
Обслуживание проектируемой территории скоростным внеуличным транспортом осуществляется Сокольнической линией метрополитена, ближайшие станции "Саларьево" и "Румянцево".
В границах подготовки проекта планировки территории расположены: технические зоны инженерных коммуникаций и сооружений, особо охраняемые зеленые территории, охранные зоны объектов электроэнергетики (объектов электросетевого хозяйства и объектов по производству электрической энергии), санитарно-защитные зоны (установленные), зоны 1 и 2 пояса санитарной охраны источников питьевого и хозяйственно-бытового водоснабжения, водоохранные зоны, прибрежные защитные полосы и береговые полосы.
Проектом планировки территории предусматривается строительство объектов капитального строительства суммарной поэтажной площадью - 402,00 тыс.кв.м, включая жилую застройку - 236,63 тыс.кв.м, нежилую застройку - 165,37 тыс.кв.м.
Проектом планировки территории предусматривается строительство (N участка территории на чертеже "Планировочная организация территории с границами зон планируемого размещения объектов капитального строительства"):
1) многоквартирного дома со встроенно-пристроенными нежилыми помещениями, в том числе городских служб, предприятий бытового обслуживания, предприятий общественного питания, объектов культуры и досуга, предприятий торговли, центра детского творчества на 17 мест, помещения филиала дворца детско-юношеского творчества на 11 мест с подземным гаражом, в составе высотного общественно-жилого градостроительного комплекса (далее - ВГК-1) суммарной поэтажной площадью - 119,67 тыс.кв.м (участок N 1);
2) общественно-делового здания с гаражом в составе ВГК-1 суммарной поэтажной площадью - 19,15 тыс.кв.м (участок N 5);
3) многоквартирного дома со встроенно-пристроенными нежилыми помещениями, в том числе детской школы искусств на 22 места, объектов спорта, предприятий бытового обслуживания, предприятий общественного питания, предприятий торговли, с подземным гаражом с приспособлением его под защитное сооружение гражданской обороны "укрытие" на 2780 мест в период чрезвычайных ситуаций, мобилизации и военное время, с установкой электросирены региональной системы оповещения населения города Москвы о чрезвычайных ситуациях на кровле здания, в составе высотного общественно-жилого градостроительного комплекса (далее - ВГК-2) суммарной поэтажной площадью - 116,96 тыс.кв.м (участок N 2);
4) административно-делового здания с подземным гаражом в составе ВГК-2 суммарной поэтажной площадью - 125,16 тыс.кв.м (участок N 4);
5) здания образовательной организации на 530 мест (общее образование на 350 мест и дошкольное образование на 180 мест) суммарной поэтажной площадью - 14,03 тыс.кв.м (участок N 3);
6) стадиона регби суммарной поэтажной площадью - 5,54 тыс.кв.м (участок N 6);
7) локального очистного сооружения поверхностного стока (далее - ЛОС) суммарной поэтажной площадью - 1,39 тыс.кв.м (участок N 7);
8) распределительного пункта (далее - РП) напряжением 10 кВ суммарной поэтажной площадью - 0,10 тыс.кв.м (участок N 8);
9) подземной канализационно-насосной станции (далее - КНС) (участок N 8).
Проектом планировки территории предусматриваются мероприятия по развитию транспортной инфраструктуры (N участка территории на чертеже "Планировочная организация территории с границами зон планируемого размещения объектов капитального строительства"):
- строительство улицы районного значения - участка проектируемого проезда N 1156 на пересечении с проектируемым проездом N 8159 протяженностью 0,04 км, с устройством проезжей части на четыре полосы движения (участок N 10);
- строительство улицы местного значения - проектируемого проезда N 8159 протяженностью 0,22 км, с устройством проезжей части на три полосы движения (участок N 11);
- строительство улицы местного значения - проектируемого проезда N 8160 протяженностью 0,36 км, с устройством проезжей части на две полосы движения и организацией парковочных мест (участок N 12);
- строительство улицы местного значения - проектируемого проезда протяженностью 0,54 км, с устройством проезжей части на три полосы движения, с боковым проездом протяженностью 0,12 км, с одной полосой движения и организацией парковочных мест (участок N 13);
- строительство улицы местного значения - проектируемого проезда протяженностью 0,39 км, с устройством проезжей части на три полосы движения (участок N 14);
- строительство улицы местного значения - проектируемого проезда протяженностью 0,22 км, с устройством проезжей части на две полосы движения (участок N 15);
- строительство улицы местного значения - проектируемого проезда протяженностью 0,12 км, с устройством проезжей части на три полосы движения (участок N 16);
- строительство улицы местного значения - проектируемого проезда протяженностью 0,19 км, с устройством проезжей части на две полосы движения (участок N 17).
Число организуемых парковок (парковочных мест) принять равным в соответствии с действующими нормативами.
Вместительность парковок в границах улично-дорожной сети определяется на последующих стадиях проектирования в соответствии с действующими нормативами.
Предложения по обслуживанию проектируемой территории наземным городским пассажирским транспортом с учетом корректировки существующих маршрутов и организации новых с указанием частоты движения и расчета выпуска подвижного состава на маршруты с уточнением мест размещения остановок наземного городского пассажирского транспорта разрабатываются при реализации проекта (при необходимости).
Размещение остановок наземного городского пассажирского транспорта предусматривается в границах красных линий улично-дорожной сети в соответствии с действующими нормативами.
Проектом планировки территории предусматриваются мероприятия по развитию инженерного обеспечения территории (N участка территории на чертеже "Планировочная организация территории с границами зон планируемого размещения объектов капитального строительства"):
1) водоснабжение (от Западной станции водоподготовки АО "Мосводоканал"): прокладка кольцевых водопроводных сетей и подающего водопровода общей протяженностью 1,75 км от существующего водопровода;
2) канализование (на КНС "Ново-Солнцевская" системы Курьяновских очистных сооружений):
- прокладка самотечных канализационных сетей общей протяженностью 2,07 км;
- прокладка напорных канализационных сетей общей протяженностью 1,40 км;
- переустройство существующего канализационного коллектора с увеличением диаметра протяженностью 1,40 км;
3) дождевая канализация (в водосборный бассейн реки Сетуни и Румянцевского ручья):
- прокладка сетей дождевой канализации общей протяженностью 1,40 км;
- прокладка коллектора очищенной воды протяженностью 0,10 км;
4) теплоснабжение (от районной тепловой станции "Солнцево"): прокладка тепловых сетей общей протяженностью 0,80 км;
5) газоснабжение: перекладка газопровода (P < 0,3 МПа) протяженностью 0,30 км (вынос из зоны строительства);
6) электроснабжение (от питающего центра электрической подстанции N 843 напряжением 220/10 кВ "Говорово" ПАО "Россети Московский регион"):
- строительство 8-ми трансформаторных подстанций (далее - ТП) напряжением 10/0,4 кВ (участки N 1, 2, 4, 5);
- прокладка питающих кабельных линий (далее - ПКЛ) напряжением 10 кВ общей протяженностью 6,0 км;
- прокладка распределительных кабельных линий (далее - РКЛ) напряжением 10 кВ общей протяженностью 4,30 км;
- переустройство кабельных линий напряжением 10 кВ общей протяженностью 0,50 км;
7) телефонизация:
- строительство 4-отверстной телефонной канализации для прокладки волоконно-оптических кабелей протяженностью 1,60 км;
- перекладка одноотверстной телефонной канализации протяженностью 0,15 км.
Мероприятия по инженерному обеспечению территории (в том числе по перекладке, переустройству и реконструкции существующих сетей с сохранением обеспечения потребителей) и параметры инженерных коммуникаций уточняются на последующих стадиях проектирования в соответствии с техническими условиями эксплуатирующих организаций на присоединение планируемых объектов капитального строительства к сетям инженерно-технического обеспечения, электрическим сетям, сетям связи.
На следующей стадии проектирования необходимо предусмотреть мероприятия, направленные на сохранность и эксплуатационную надежность существующих инженерных коммуникаций или вынос объектов инженерной инфраструктуры, попадающих в зону проведения работ.
Проектом планировки территории предусматриваются мероприятия по охране окружающей среды: инженерная защита территорий от подтопления участков жилой и общественной застройки, участков улично-дорожной сети, участков благоустройства и иных территорий общего пользования общей площадью 13,00 га (участки N 1, 3, 5, 6, 8 на чертеже "Планировочная организация территории с границами зон планируемого размещения объектов капитального строительства").
В целях реализации планировочных решений по размещению здания образовательной организации на 530 мест и многоквартирных домов со встроенно-пристроенными нежилыми помещениями (участки N 1, 2, 3 на чертеже "Планировочная организация территории с границами зон планируемого размещения объектов капитального строительства") требуется сокращение санитарно-защитных зон (далее - СЗЗ) от объектов (N участка на чертеже "Планировочная организация территории с границами зон планируемого размещения объектов капитального строительства"):
- общественно-делового комплекса, расположенного по адресу: поселение Московский города Москвы, дом 16, строения 1 - 6;
- проектируемого общественно-делового здания с гаражом (участок N 5);
- проектируемого стадиона регби (участок N 6).
Проектом планировки территории предусматриваются мероприятия по благоустройству территории: благоустройство и озеленение участков территорий общего пользования с устройством пешеходных зон, детских игровых и спортивных площадок, площадок для отдыха общей площадью 0,620 га (участки N 19, 20, 21 на чертеже "Планировочная организация территории с границами зон планируемого размещения объектов капитального строительства").
Реализация мероприятий проекта планировки территории предусматривается в один этап.
Строительство объектов капитального строительства (N участка территории на чертеже "Планировочная организация территории с границами зон планируемого размещения объектов капитального строительства"):
1) ВГК-1 (участки N 1, 5);
2) ВГК-2 (участки N 2, 4), в том числе с приспособлением подземного гаража многоквартирного дома под защитное сооружение гражданской обороны "укрытие" на 2780 мест в период чрезвычайных ситуаций, мобилизации и военное время, с установкой электросирены региональной системы оповещения населения города Москвы о чрезвычайных ситуациях на кровле здания (участок N 2);
3) здания образовательной организации на 530 мест (общее образование на 350 мест и дошкольное образование на 180 мест (участок N 3);
4) стадиона регби (участок N 6);
5) ЛОС (участок N 7);
6) РП (участок N 8);
7) КНС (участок N 8).
Развитие транспортной инфраструктуры территории (N участка территории на чертеже "Планировочная организация территории с границами зон планируемого размещения объектов капитального строительства"):
- строительство улицы районного значения - участка проектируемого проезда N 1156 на пересечении с проектируемым проездом N 8159 протяженностью 0,04 км, с устройством проезжей части на четыре полосы движения (участок N 10);
- строительство улицы местного значения - проектируемого проезда N 8159 протяженностью 0,22 км, с устройством проезжей части на три полосы движения (участок N 11);
- строительство улицы местного значения - проектируемого проезда N 8160 протяженностью 0,36 км, с устройством проезжей части на две полосы движения и организацией парковочных мест (участок N 12);
- строительство улицы местного значения - проектируемого проезда протяженностью 0,54 км, с устройством проезжей части на три полосы движения, с боковым проездом протяженностью 0,12 км, с одной полосой движения и организацией парковочных мест (участок N 13);
- строительство улицы местного значения - проектируемого проезда протяженностью 0,39 км, с устройством проезжей части на три полосы движения (участок N 14);
- строительство улицы местного значения - проектируемого проезда протяженностью 0,22 км, с устройством проезжей части на две полосы движения (участок N 15);
- строительство улицы местного значения - проектируемого проезда протяженностью 0,12 км, с устройством проезжей части на три полосы движения (участок N 16);
- строительство улицы местного значения - проектируемого проезда протяженностью 0,19 км, с устройством проезжей части на две полосы движения (участок N 17).
Развитие инженерной инфраструктуры территории (N участка территории на чертеже "Планировочная организация территории с границами зон планируемого размещения объектов капитального строительства"):
1) водоснабжение: прокладка кольцевых водопроводных сетей и подающего водопровода общей протяженностью 1,75 км от существующего водопровода;
2) канализование:
- прокладка самотечных канализационных сетей общей протяженностью 2,07 км;
- прокладка напорных канализационных сетей общей протяженностью 1,40 км;
- переустройство существующего канализационного коллектора с увеличением диаметра протяженностью 1,40 км;
3) дождевая канализация:
- прокладка сетей дождевой канализации общей протяженностью 1,40 км;
- прокладка коллектора очищенной воды протяженностью 0,10 км;
4) теплоснабжение: прокладка тепловых сетей общей протяженностью 0,80 км;
5) газоснабжение: перекладка газопровода (P < 0,3 МПа) протяженностью 0,30 км (вынос из зоны строительства);
6) электроснабжение:
- строительство 8-ми ТП напряжением 10/0,4 кВ (участки N 1, 2, 4, 5);
- прокладка ПКЛ напряжением 10 кВ общей протяженностью 6,0 км;
- прокладка РКЛ напряжением 10 кВ общей протяженностью 4,30 км;
- переустройство кабельных линий напряжением 10 кВ общей протяженностью 0,50 км;
7) телефонизация:
- строительство 4-отверстной телефонной канализации для прокладки волоконно-оптических кабелей протяженностью 1,60 км;
- перекладка одноотверстной телефонной канализации протяженностью 0,15 км.
Мероприятия по охране окружающей среды: инженерная защита территории от подтопления участков жилой и общественной застройки, участков улично-дорожной сети, участков благоустройства и иных территорий общего пользования общей площадью 13,00 га (участки N 1, 3, 5, 6, 8 на чертеже "Планировочная организация территории с границами зон планируемого размещения объектов капитального строительства").
Сокращение СЗЗ в целях размещения здания образовательной организации на 530 мест, многоквартирных домов со встроенно- пристроенными нежилыми помещениями (участки N 1, 2, 3 на чертеже "Планировочная организация территории с границами зон планируемого размещения объектов капитального строительства") от:
- общественно-делового комплекса, расположенного по адресу: поселение Московский города Москвы, дом 16, строения 1 - 6;
- проектируемого общественно-делового здания с гаражом (участок N 5 на чертеже "Планировочная организация территории с границами зон планируемого размещения объектов капитального строительства");
- проектируемого стадиона регби (участок N 6 на чертеже "Планировочная организация территории с границами зон планируемого размещения объектов капитального строительства").
Мероприятия по благоустройству территории: благоустройство и озеленение участков территорий общего пользования с устройством пешеходных зон, детских игровых и спортивных площадок, площадок для отдыха общей площадью 0,620 га (участки N 19, 20, 21 на чертеже "Планировочная организация территории с границами зон планируемого размещения объектов капитального строительства").
Проектирование и проведение земляных, строительных, мелиоративных, хозяйственных и иных работ на проектируемой территории должно осуществляться по результатам государственной историко-культурной экспертизы земельных участков, подлежащих воздействию указанных работ, проводимой в установленном порядке путем археологической разведки, с оформлением научного отчета о проведенных археологических работах на исследуемой территории в соответствии с требованиями, установленными статьями 5.1, 28, 30, 31, 32, 33, 36, 40, 45 Федерального закона от 25 июня 2002 г. N 73-ФЗ "Об объектах культурного наследия (памятниках истории и культуры) народов Российской Федерации", к осуществлению деятельности в границах земельных участков, непосредственно связанных с земельными участками в границах территории объекта культурного наследия.
1.2. Таблица "Участки территории (зоны) планируемого размещения объектов капитального строительства"
к чертежу "Планировочная организация территории с границами зон планируемого размещения объектов капитального строительства"
N участка территории на чертеже | N зоны планируемого размещения объектов капитального строительства на чертеже | Коды видов разрешенного использования земельных участков и объектов капитального строительства1 | Площадь участка, га | Предельные параметры разрешенного строительства, реконструкции объектов капитального строительства | Наименование объекта | Показатели объекта | |||||
Плотность застройки участка, тыс.кв.м/га | Высота зданий, строений, сооружений, м | Максимальный процент застройки,% | Суммарная поэтажная площадь, тыс.кв.м | Использование подземного пространства | Гостевые, приобъектные автостоянки (наземные), машино-мест | Примечание емкость/ мощность | |||||
1 | 2 | 3 | 4 | 5 | 6 | 7 | 8 | 9 | 10 | 11 | 12 |
1 | 1.1 | 2.6, 2.7, 2.7.1, 3.1.1, 4.1, 5.1.3
| 2,630 | 45,50 | 110 | - | Многоквартирный дом со встроенно- пристроенными нежилыми помещениями, в том числе: | 119,67 | Технические помещения, гараж | В соответствии с действующими нормативами
| Емкость подземного гаража определяется на стадии проектирования |
жилая часть | 112,25 | ||||||||||
нежилая часть, в том числе: | 7,42 | ||||||||||
- помещения городских служб; | 0,29 | ||||||||||
- центр детского творчества; | не менее 0,22 | ||||||||||
- помещения филиала дворца детско- юношеского творчества; | не менее 0,33 | ||||||||||
- помещения предприятий бытового обслуживания; | не менее 0,20 | ||||||||||
- помещение предприятий общественного питания; | не менее 0,20 | ||||||||||
- помещения объектов культуры и досуга; | не менее 0,46 | ||||||||||
- помещения предприятий торговли | не менее 0,40 | ||||||||||
2 | 2.1 | 2.6, 2.7, 2.7.1, 3.1.1, 4.1, 5.1.3
| 2,170 | 53,90 | 110 | - | Многоквартирный дом со встроенно- пристроенными нежилыми помещениями, в том числе: | 116,96 | Технические помещения, гараж | В соответствии с действующими нормативами | Емкость подземного гаража определяется на стадии проектирования. Приспособление гаража под защитное сооружение гражданской обороны "укрытие" - 2780 мест. |
жилая часть | 109,75 | ||||||||||
нежилая часть, в том числе: | 7,21 | Установка электросирены оповещения на кровле многоквартирного дома | |||||||||
- помещения детской школы искусств; | не менее 0,31 | ||||||||||
- помещения объектов спорта; | не менее 1,37 | ||||||||||
- помещения предприятий бытового обслуживания; | не менее 0,11 | ||||||||||
- помещение предприятий общественного питания; | не менее 0,16 | ||||||||||
- помещения предприятий торговли | не менее 0,43 | ||||||||||
3 | 3.1 | 3.5.1 | 1,220 | 11,50 | 25 | - | Здание образовательной организации | 14,03 | - | - | 530 мест (общее образование на 350 мест и дошкольное образование на 180 мест) |
4 | 4.1 | 4.1, 4.2, 4.4, 4.5, 4.6, 4.9, 5.1.2
| 0,700 | 178,80 | 100 | - | Административно-деловое здание | 125,16 | Технические помещения, гараж | - | Емкость подземного гаража определяется на стадии |
5 | 5.1 | 2.7.1, 4.1, 4.2, 4.4, 4.5, 4.6, 5.1.3 | 0,420 | 45,60 | 40 | - | Общественно-деловое здание с гаражом | 19,15 | - | - | Емкость подземного гаража определяется на стадии проектирования |
6 | 6.1 | 5.1.1, 5.1.2. 5.1.3 | 1,730 | 3,20 | 50 | - | Стадион регби | 5,54 | В соответствии с технологическими требованиями | В соответствии с действующими нормативами | - |
7 | 7.1 | 3.1.1 | 0,240 | 5,80 | 10 | - | ЛОС | 1,39 | В соответствии с технологическими требованиями | - | - |
8 | 8.1 | 3.1.1 | 0,040 | 2,50 | 10 | - | РП, КНС | 0,10 | В соответствии с технологическими требованиями | - | - |
9 | - | 3.1.1, 5.1.1, 5.1.2, 5.1.3, 5.1.4, 5.1.5, 5.1.6, 5.2, 5.3, 5.4, 5.5, 7.2.2, 9.1, 12.0.1, 12.0.2 | 2,406 | - | - | - | - | - | - | - | - |
10 | - | 3.1.1, 7.2.2, 12.0.1, 12.0.2 | 0,100 | - | - | - | - | - | - | - | - |
11 | - | 3.1.1, 7.2.2, 12.0.1, 12.0.2 | 0,670 | - | - | - | - | - | - | - | - |
12 | - | 3.1.1, 7.2.2, 12.0.1, 12.0.2 | 0,760 | - | - | - | - | - | - | - | - |
13 | - | 3.1.1, 7.2.2, 12.0.1, 12.0.2 | 1,540 | - | - | - | - | - | - | - | - |
14 | - | 3.1.1, 7.2.2, 12.0.1, 12.0.2 | 0,970 | - | - | - | - | - | - | - | - |
15 | - | 3.1.1, 12.0.1, 12.0.2 | 0,330 | 0 | 0 | 0 | - | - | - | - | - |
16 | - | 3.1.1, 12.0.1, 12.0.2 | 0,180 | 0 | 0 | 0 | - | - | - | - | - |
17 | - | 3.1.1, 12.0.1, 7.2.2, 12.0.2 | 0,300 | 0 | 0 | 0 | - | - | - | - | - |
18 | - | 3.0, 3.1.1, 3.6.1, 3.6.3, 4.1, 4.2, 4.3, 4.4, 4.5, 4.6, 4.8.1, 4.8.2, 4.9, 4.10, 6.2, 6.2.1, 6.3, 6.3.1, 6.4, 6.5, 6.6, 6.7, 6.8, 6.9, 6.11, 7.2.2, 7.2.3, 12.0.1, 12.0.2 | 23,078 | - | - | - | - | - | - | - | - |
19 | - | 3.1.1, 12.0.1, 12.0.2 | 0,090 | 0 | 0 | 0 | - | - | - | - | - |
20 | - | 3.1.1, 12.0.1, 12.0.2 | 0,200 | 0 | 0 | 0 | - | - | - | - | - |
21 | - | 3.1.1, 12.0.1, 12.0.2 | 0,330 | 0 | 0 | 0 | - | - | - | - | - |
22 | - | 3.1.1, 12.0.2 | 0,120 | 0 | 0 | 0 | - | - | - | - | - |
23
| - | 3.1.1, 5.1.1, 5.1.2, 5.1.3, 5.1.4, 5.1.5, 5.1.6, 5.2, 5.3, 5.4, 5.5, 9.1, 7.2.2, 12.0.1, 12.0.2 | 0,776
| 0
| 0
| 0
| - | - | - | - | - |
24 | - | 3.1.1, 7.2.2, 12.0.1, 12.0.2 | 1,500 | 0 | 0 | 0 | - | - | - | - | - |
25 | - | 3.1.1, 7.2.2, 12.0.1, 12.0.2 | 0,330 | 0 | 0 | 0 | - | - | - | - | - |
26 | - | 3.1.1, 7.2.2, 12.0.1, 12.0.2 | 0,730 | 0 | 0 | 0 | - | - | - | - | - |
27 | - | 3.1.1, 7.2.2, 12.0.1, 12.0.2 | 1,590 | 0 | 0 | 0 | - | - | - | - | - |
28 | - | 3.1.1, 7.2.2, 12.0.1, 12.0.2 | 0,110 | 0 | 0 | 0 | - | - | - | - | - |
29 | - | 3.0, 3.1.1, 3.6.1, 3.6.3, 4.1, 4.2, 4.3, 4.4, 4.5, 4.6, 4.8.1, 4.8.2, 4.9, 4.10, 6.2, 6.2.1, 6.3, 6.3.1, 6.4, 6.5, 6.6, 6.7, 6.8, 6.9, 6.11, 7.2.2, 7.2.3, 12.0.1, 12.0.2 | 0,360 | 5,4 | 10 | - | - | - | - | - | - |
30 | - | 3.1.1 | 0,150 | - | - | - | - | - | - | - | - |
31 | - | 3.0, 3.6.1, 12.0.2, 3.6.3, 4.1, 4.2, 4.3, 4.4, 4.5, 4.6, 4.8.1, 4.8.2, 4.9, 4.10, 6.2, 6.2.1, 6.3, 6.3.1, 6.4, 6.5, 6.6, 6.7, 6.8, 6.11, 3.1.1, 6.9, 12.0.1, 7.2.2, 7.2.3 | 0,004 | - | - | - | - | - | - | - | - |
32 | - | 3.0, 3.6.1, 12.0.2, 3.6.3, 4.1, 4.2, 4.3, 4.4, 4.5, 4.6, 4.8.1, 4.8.2, 4.9, 4.10, 6.2, 6.2.1, 6.3, 6.3.1, 6.4, 6.5, 6.6, 6.7, 6.8, 6.11, 3.1.1, 6.9, 12.0.1, 7.2.2, 7.2.3 | 0,044
| - | -
| -
| - | -
| - | - | - |
33 | - | 3.0, 3.6.1, 12.0.2, 3.6.3, 4.1, 4.2, 4.3, 4.4, 4.5, 4.6, 4.8.1, 4.8.2, 4.9, 4.10, 6.2, 6.2.1, 6.3, 6.3.1, 6.4, 6.5, 6.6, 6.7, 6.8, 6.11, 3.1.1, 6.9, 12.0.1, 7.2.2, 7.2.3 | 0,038 | - | - | - | - | - | - | - | - |
34 | - | 3.0, 3.6.1, 12.0.2, 3.6.3, 4.1, 4.2, 4.3, 4.4, 4.5, 4.6, 4.8.1, 4.8.2, 4.9, 4.10, 6.2, 6.2.1, 6.3, 6.3.1, 6.4, 6.5, 6.6, 6.7, 6.8, 6.11, 3.1.1, 6.9, 12.0.1, 7.2.2, 7.2.3 | 0,039 | - | - | - | - | - | - | - | - |
35
| - | 3.0, 3.6.1, 12.0.2, 3.6.3, 4.1, 4.2, 4.3, 4.4, 4.5, 4.6, 4.8.1, 4.8.2, 4.9, 4.10, 6.2, 6.2.1, 6.3, 6.3.1, 6.4, 6.5, 6.6, 6.7, 6.8, 6.11, 3.1.1, 6.9, 12.0.1, 7.2.2, 7.2.3 | 0,040
| - | - | - | - | - | - | - | - |
36 | - | 3.0, 3.6.1, 12.0.2, 3.6.3, 4.1, 4.2, 4.3, 4.4, 4.5, 4.6, 4.8.1, 4.8.2, 4.9, 4.10, 6.2, 6.2.1, 6.3, 6.3.1, 6.4, 6.5, 6.6, 6.7, 6.8, 6.11, 3.1.1, 6.9, 12.0.1, 7.2.2, 7.2.3 | 0,034 | - | - | - | - | - | - | - | - |
37 | - | 3.0, 3.6.1, 12.0.2, 3.6.3, 4.1, 4.2, 4.3, 4.4, 4.5, 4.6, 4.8.1, 4.8.2, 4.9, 4.10, 6.2, 6.2.1, 6.3, 6.3.1, 6.4, 6.5, 6.6, 6.7, 6.8, 6.11, 3.1.1, 6.9, 12.0.1, 7.2.2, 7.2.3 | 0,031 | - | - | - | - | - | - | - | - |
1 - Описание видов разрешенного использования земельных участков в соответствии с приказом Росреестра от 10 ноября 2020 г. N П/0412 "Об утверждении классификатора видов разрешенного использования земельных участков" | |||||||||||
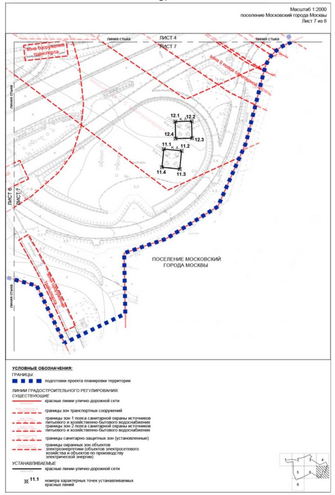
Перечень координат характерных точек устанавливаемых красных линий
(к чертежу "План красных линий")
N точки | Координаты точки (Система координат, используемая для ведения Единого государственного реестра недвижимости (МСК-77) | |
X | Y | |
1 | 2 | 3 |
| Устанавливаемые красные линии улично-дорожной сети | ||
1.1 | -5310.15 | -4570.13 |
1.2 | -5279.41 | -4569.65 |
1.3 | -5188.29 | -4570.11 |
1.4 | -5123.08 | -4570.45 |
1.5 | -4976.09 | -4502.90 |
1.6 | -4962.58 | -4494.65 |
1.7 | -4950.72 | -4482.92 |
1.8 | -4941.87 | -4468.78 |
1.9 | -4936.51 | -4452.98 |
1.10 | -4935.01 | -4437.24 |
1.11 | -4936.62 | -4359.79 |
1.12 | -4936.62 | -4359.77 |
1.13 | -4936.62 | -4359.76 |
1.14 | -4936.62 | -4359.75 |
1.15 | -4941.76 | -4254.46 |
1.16 | -4948.46 | -4253.22 |
1.17 | -4949.43 | -4222.05 |
1.18 | -4949.54 | -4218.44 |
1.19 | -4972.17 | -4213.81 |
1.20 | -5000.00 | -4207.96 |
1.21 | -5071.57 | -4193.48 |
1.22 | -5099.45 | -4193.62 |
1.23 | -5108.45 | -4193.67 |
1.24 | -5109.45 | -4193.67 |
1.25 | -5114.87 | -4193.54 |
1.26 | -5189.95 | -4189.71 |
1.27 | -5242.03 | -4185.08 |
1.28 | -5244.01 | -4183.69 |
1.29 | -5245.84 | -4181.86 |
1.30 | -5248.64 | -4180.72 |
1.31 | -5265.47 | -4180.44 |
1.32 | -5351.48 | -4179.00 |
1.33 | -5463.17 | -4178.60 |
1.34 | -5506.37 | -4172.87 |
2.1 | -5301.57 | -4416.84 |
2.2 | -5112.46 | -4416.84 |
2.3 | -5099.45 | -4416.84 |
2.4 | -5080.31 | -4416.84 |
2.5 | -5078.31 | -4414.84 |
2.6 | -5078.31 | -4221.90 |
2.7 | -5080.31 | -4219.90 |
2.8 | -5099.45 | -4219.90 |
2.9 | -5108.45 | -4219.90 |
2.10 | -5166.94 | -4219.90 |
2.11 | -5292.26 | -4210.22 |
2.12 | -5302.15 | -4220.15 |
3.1 | -4969.38 | -4259.04 |
3.2 | -4979.67 | -4240.45 |
3.3 | -4987.08 | -4234.70 |
3.4 | -4997.58 | -4229.31 |
3.5 | -5006.91 | -4226.55 |
3.6 | -5031.56 | -4221.49 |
3.7 | -5037.19 | -4220.62 |
3.8 | -5042.88 | -4220.31 |
3.9 | -5057.66 | -4220.25 |
3.10 | -5063.31 | -4225.90 |
3.11 | -5063.31 | -4410.84 |
3.12 | -5057.31 | -4416.84 |
3.13 | -4969.38 | -4416.95 |
4.1 | -5301.52 | -4431.84 |
4.2 | -5108.45 | -4431.84 |
4.3 | -5093.88 | -4431.84 |
4.4 | -4960.13 | -4431.84 |
4.5 | -4960.03 | -4436.31 |
4.6 | -4961.12 | -4447.71 |
4.7 | -4964.61 | -4457.99 |
4.8 | -4970.37 | -4467.20 |
4.9 | -4978.09 | -4474.83 |
4.10 | -4987.67 | -4480.68 |
5.1 | -4938.63 | -4155.58 |
5.2 | -4933.405 | -4156.60 |
5.3 | -4931.37 | -4158.99 |
5.4 | -4926.24 | -4324.61 |
5.5 | -4913.29 | -4327.86 |
5.6 | -4912.05 | -4392.51 |
5.7 | -4919.23 | -4417.31 |
5.8 | -4924.83 | -4439.66 |
5.9 | -4924.69 | -4451.53 |
5.10 | -4925.90 | -4461.15 |
5.11 | -4932.76 | -4476.73 |
5.12 | -4943.79 | -4489.70 |
5.13 | -4954.77 | -4496.85 |
5.14 | -4958.06 | -4498.99 |
5.15 | -4999.93 | -4518.30 |
5.16 | -5059.528 | -4545.78 |
5.17 | -5102.13 | -4565.42 |
5.18 | -5118.91 | -4573.16 |
5.19 | -5120.06 | -4573.69 |
5.20 | -5183.72 | -4603.04 |
5.21 | -5205.60 | -4613.13 |
5.22 | -5237.63 | -4627.90 |
5.23 | -5276.92 | -4646.02 |
6.1 | -5128.36 | -4545.41 |
6.2 | -5188.16 | -4545.11 |
6.3 | -5279.53 | -4544.65 |
6.4 | -5295.13 | -4544.87 |
6.5 | -5301.15 | -4538.95 |
6.6 | -5301.19 | -4526.15 |
7.1 | -5302.09 | -4241.05 |
7.2 | -5302.16 | -4247.05 |
11.1 | -4464.05 | -4449.93 |
11.2 | -4443.31 | -4452.05 |
11.3 | -4445.47 | -4473.22 |
11.4 | -4466.21 | -4471.10 |
12.1 | -4450.70 | -4417.90 |
12.2 | -4431.56 | -4417.47 |
12.3 | -4431.11 | -4437.27 |
12.4 | -4450.26 | -4437.70 |
13.1 | -4708.26 | -4319.26 |
13.2 | -4697.34 | -4303.55 |
13.3 | -4680.68 | -4315.12 |
13.4 | -4691.60 | -4330.84 |
14.1 | -4695.76 | -4291.85 |
14.2 | -4683.56 | -4275.39 |
14.3 | -4667.91 | -4286.98 |
14.4 | -4680.11 | -4303.45 |
15.1 | -4889.13 | -4133.18 |
16.1 | -4883.91 | -4134.57 |
15.5 | -4882.57 | -4129.49 |
| Устанавливаемые красные линии, обозначающие границы территорий общего пользования | ||
1.23 | -5108.45 | -4193.67 |
8.1 | -5108.45 | -4097.93 |
8.2 | -5103.74 | -4097.91 |
8.3 | -5099.45 | -4097.90 |
1.22 | -5099.45 | -4193.62 |
1.23 | -5108.45 | -4193.67 |
2.2 | -5112.46 | -4416.84 |
2.3 | -5099.45 | -4416.84 |
2.8 | -5099.45 | -4219.90 |
2.9 | -5108.45 | -4219.90 |
9.1 | -5108.45 | -4352.23 |
9.2 | -5112.45 | -4352.23 |
2.2 | -5112.46 | -4416.84 |
4.2 | -5108.45 | -4431.84 |
4.3 | -5093.88 | -4431.84 |
10.1 | -5056.84 | -4512.51 |
10.2 | -5108.45 | -4536.25 |
4.2 | -5108.45 | -4431.84 |
1.23 | -5108.45 | -4193.67 |
8.1 | -5108.45 | -4097.93 |
8.2 | -5103.74 | -4097.91 |
8.3 | -5099.45 | -4097.90 |
1.22 | -5099.45 | -4193.62 |
1.23 | -5108.45 | -4193.67 |
2.2 | -5112.46 | -4416.84 |
2.3 | -5099.45 | -4416.84 |
| Устанавливаемые красные линии объектов дорожно-мостового строительства | ||
15.1 | -4889.1336 | -4133.1891 |
15.2 | -4901.7083 | -4129.8590 |
15.3 | -4897.0138 | -4112.1382 |
15.4 | -4879.2260 | -4116.8478 |
15.5 | -4882.5762 | -4129.4994 |
17.1 | -4886.6893 | -4085.4378 |
17.2 | -4869.6118 | -4091.5780 |
17.3 | -4875.4399 | -4107.7857 |
17.4 | -4892.5159 | -4101.6485 |
2. Проект межевания территории
2.1. Пояснительная записка
В составе проекта планировки территории подготовлен проект межевания территории, определено местоположение границ земельных участков, территорий общего пользования, участков существующих и планируемых объектов, установлены ограничения по использованию земельных участков. Характеристики сохраняемых, изменяемых и образуемых земельных участков представлены в таблице раздела 2.2 "Характеристика земельных участков территории" и на чертеже "План межевания территории".
Проектом межевания территории определены границы участков: территорий общего пользования, общественных территорий, жилых зданий, нежилых зданий и сооружений, дошкольных образовательных и общеобразовательных организаций (N участков на чертеже "План межевания территории").
Доступ на территорию участков жилых зданий N 1, 2 осуществляется с участков территорий общего пользования: существующей и проектируемой улично-дорожной сети (далее - УДС) (участки N 12, 13, 14, 15) и участков территории общего пользования, предназначенных для организации проходов, проездов, благоустройства и озеленения (участки N 20, 21).
Доступ на территорию участка образовательной организации (общее образование и дошкольное образование) N 3 осуществляется с участков территории общего пользования - проектируемой УДС (участки N 12, 15).
Доступ на территорию участка административно-делового здания N 4 осуществляется с участков территории общего пользования - проектируемой УДС (участки N 13, 14, 15, 16) и участка территории общего пользования, предназначенного для организации проходов, проездов, благоустройства и озеленения (участок N 21).
Доступ на территорию участка общественно-делового здания с гаражом N 5 осуществляется с участка территории общего пользования - проектируемой УДС (участки N 13, 15, 16, 17) и участка территории общего пользования, предназначенного для организации проходов, проездов, благоустройства и озеленения (участок N 20).
Доступ на территорию участка стадиона регби N 6 осуществляется с участков территории общего пользования - проектируемой УДС (участки N 13, 16, 17). Через земельный участок осуществляется доступ к земельному участку N 8.
Доступ на территорию участка объекта инженерной инфраструктуры - ЛОС N 7 осуществляется с участка территории общего пользования - проектируемой УДС (участки N 13, 14).
Доступ на территорию участка объектов инженерной инфраструктуры - РП и КНС N 8 осуществляется с участка территории общего пользования - проектируемой УДС (участки N 13, 17), далее по территории участка N 6.
Доступ на территорию участка существующего объекта инженерной инфраструктуры - ЛОС N 29 осуществляется с участка территории общего пользования - УДС (участок N 18).
Доступ на территорию участка существующего объекта инженерной инфраструктуры - ЛОС N 30 осуществляется с участка территории общего пользования - УДС (участок N 18).
Доступ на территорию участка существующего объекта инженерной инфраструктуры - ТП N 31 осуществляется с участка территории общего пользования - УДС (участок N 18).
Для реализации мероприятий проекта планировки территории в части строительства объектов УДС (участки N 10, 11, 12, 13, 14, 15, 16, 17 на чертеже "План межевания территории" и в таблице "Характеристика земельных участков территории") проектом межевания территории предусматривается изъятие частей земельных участков в установленном законом порядке.
2.2. Таблица "Характеристика земельных участков территории"
к чертежу "План межевания территории"
Назначение территории | N участка на чертеже | Коды видов разрешенного использования земельных участков и объектов капитального строительства 2 | Площадь земельного участка, га | Способы образования земельного участка | Вид ограничения, обременения на земельном участке, площадь, га | Примечание | |
1 | 2 | 3 | 4 | 5 | 6 | 7 | |
Территории участков жилых зданий | 1 | 2.6, 2.7, 2.7.1, 3.1.1, 4.1, 5.1.3 | 2,630 | Раздел | Использование подземного пространства - 2,630; зона 2 пояса санитарной охраны источников питьевого и хозяйственно-бытового водоснабжения - 2,630; водоохранная зона - 0,066; прибрежная защитная полоса - 0,066; зона сильного подтопления - 0,287; зона умеренного подтопления - 1,570; зона слабого подтопления - 0,721 | - | |
2 | 2.6, 2.7, 2.7.1, 3.1.1, 4.1, 5.1.3 | 2,170 | Раздел | Использование подземного пространства - 2,170; зона 2 пояса санитарной охраны источников питьевого и хозяйственно-бытового водоснабжения - 1,770 | - | ||
Итого территории участков жилых зданий: | 4,800 | - | - | - | |||
Территории участков нежилых зданий и сооружений, дошкольных образовательных и общеобразовательных организаций | 3 | 3.5.1 | 1,220 | Раздел | Зона 2 пояса санитарной охраны источников питьевого и хозяйственно-бытового водоснабжения - 1,220; зона слабого подтопления - 0,064 | - | |
4 | 4.1, 4.2, 4.4, 4.5, 4.6, 4.9, 5.1.2 | 0,700 | Раздел | Использование подземного пространства - 0,700; зона 2 пояса санитарной охраны источников питьевого и хозяйственно-бытового водоснабжения - 0,180; санитарно-защитная зона (установленная) - 0,381 | - | ||
5 | 2.7.1, 4.1, 4.2, 4.4, 4.5, 4.6, 5.1.3 | 0,420 | Раздел | Зона 2 пояса санитарной охраны источников питьевого и хозяйственно-бытового водоснабжения - 0,420; санитарно-защитная зона (установленная) - 0,016; зона умеренного подтопления - 0,155; зона слабого подтопления - 0,085 | - | ||
6 | 5.1.1, 5.1.2. 5.1.3 | 1,730 | Раздел | Зона 2 пояса санитарной охраны источников питьевого и хозяйственно-бытового водоснабжения - 1,730; санитарно-защитная зона (установленная) - 1,720; зона умеренного подтопления - 0,367; зона слабого подтопления - 0,354 | - | ||
7 | 3.1.1 | 0,240 | Перераспределение | Зона 2 пояса санитарной охраны источников питьевого и хозяйственно-бытового водоснабжения - 0,180; санитарно-защитная зона (установленная) - 0,240 | Образуется из земель, государственная собственность на которые не разграничена, - 0,154 га | ||
8 | 3.1.1 | 0,040 | Раздел | Зона 2 пояса санитарной охраны источников питьевого и хозяйственно-бытового водоснабжения - 0,045; санитарно-защитная зона (установленная) - 0,023 | - | ||
29 | 3.0, 3.1.1, 3.6.1, 3.6.3, 4.1, 4.2, 4.3, 4.4, 4.5, 4.6, 4.8.1, 4.8.2, 4.9, 4.10, 6.2, 6.2.1, 6.3, 6.3.1, 6.4, 6.5, 6.6, 6.7, 6.8, 6.9, 6.11, 7.2.2, 7.2.3, 12.0.1, 12.0.2 | 0,360 | - | Зона 2 пояса санитарной охраны источников питьевого и хозяйственно-бытового водоснабжения - 0,204 | - | ||
30 | 3.1.1 | 0,150 | Объединение | Зона 2 пояса санитарной охраны источников питьевого и хозяйственно-бытового водоснабжения - 0,150; техническая зона инженерных коммуникаций и сооружений - 0,020; водоохранная зона - 0,148; прибрежная защитная полоса - 0,148; береговая полоса - 0,003; санитарно-защитная зона (установленная) - 0,126; зона умеренного подтопления - 0,131 | - | ||
31 | 3.0, 3.1.1, 3.6.1, 3.6.3, 4.1, 4.2, 4.3, 4.4, 4.5, 4.6, 4.8.1, 4.8.2, 4.9, 4.10, 6.2, 6.2.1, 6.3, 6.3.1, 6.4, 6.5, 6.6, 6.7, 6.8, 6.9, 6.11, 7.2.2, 7.2.3, 12.0.1, 12.0.2 | 0,004 | - | Зона 2 пояса санитарной охраны источников питьевого и хозяйственно-бытового водоснабжения - 0,004; в красных линиях улично-дорожной сети - 0,004 | - | ||
32 | 3.0, 3.1.1, 3.6.1, 3.6.3, 4.1, 4.2, 4.3, 4.4, 4.5, 4.6, 4.8.1, 4.8.2, 4.9, 4.10, 6.2, 6.2.1, 6.3, 6.3.1, 6.4, 6.5, 6.6, 6.7, 6.8, 6.9, 6.11, 7.2.2, 7.2.3, 12.0.1, 12.0.2 | 0,044 | Раздел | Охранная зона объектов электроэнергетики (объектов электросетевого хозяйства и объектов по производству электрической энергии) - 0,044 | - | ||
33 | 3.0, 3.1.1, 3.6.1, 3.6.3, 4.1, 4.2, 4.3, 4.4, 4.5, 4.6, 4.8.1, 4.8.2, 4.9, 4.10, 6.2, 6.2.1, 6.3, 6.3.1, 6.4, 6.5, 6.6, 6.7, 6.8, 6.9, 6.11, 7.2.2, 7.2.3, 12.0.1, 12.0.2 | 0,038 | Раздел | Охранная зона объектов электроэнергетики (объектов электросетевого хозяйства и объектов по производству электрической энергии) - 0,038 | - | ||
34 | 3.0, 3.1.1, 3.6.1, 3.6.3, 4.1, 4.2, 4.3, 4.4, 4.5, 4.6, 4.8.1, 4.8.2, 4.9, 4.10, 6.2, 6.2.1, 6.3, 6.3.1, 6.4, 6.5, 6.6, 6.7, 6.8, 6.9, 6.11, 7.2.2, 7.2.3, 12.0.1, 12.0.2 | 0,039 | Раздел | Охранная зона объектов электроэнергетики (объектов электросетевого хозяйства и объектов по производству электрической энергии) - 0,024; санитарно-защитная зона (установленная) - 0,039 | - | ||
35 | 3.0, 3.1.1, 3.6.1, 3.6.3, 4.1, 4.2, 4.3, 4.4, 4.5, 4.6, 4.8.1, 4.8.2, 4.9, 4.10, 6.2, 6.2.1, 6.3, 6.3.1, 6.4, 6.5, 6.6, 6.7, 6.8, 6.9, 6.11, 7.2.2, 7.2.3, 12.0.1, 12.0.2 | 0,040 | Раздел | Зона 1 пояса санитарной охраны источников питьевого и хозяйственно-бытового водоснабжения - 0,005; зона 2 пояса санитарной охраны источников питьевого и хозяйственно-бытового водоснабжения - 0,040; охранная зона объектов электроэнергетики (объектов электросетевого хозяйства и объектов по производству электрической энергии) - 0,040; санитарно-защитная зона (установленная) - 0,040 | - | ||
36 | 3.0, 3.1.1, 3.6.1, 3.6.3, 4.1, 4.2, 4.3, 4.4, 4.5, 4.6, 4.8.1, 4.8.2, 4.9, 4.10, 6.2, 6.2.1, 6.3, 6.3.1, 6.4, 6.5, 6.6, 6.7, 6.8, 6.9, 6.11, 7.2.2, 7.2.3, 12.0.1, 12.0.2 | 0,034 | Раздел | Зона 2 пояса санитарной охраны источников питьевого и хозяйственно-бытового водоснабжения - 0,030; техническая зона инженерных коммуникаций и сооружений - 0,034; водоохранная зона - 0,025, прибрежная защитная полоса - 0,025; охранная зона объектов электроэнергетики (объектов электросетевого хозяйства и объектов по производству электрической энергии) - 0,034; санитарно-защитная зона (установленная) - 0,034; зона сильного подтопления - 0,025 | - | ||
37 | 3.0, 3.1.1, 3.6.1, 3.6.3, 4.1, 4.2, 4.3, 4.4, 4.5, 4.6, 4.8.1, 4.8.2, 4.9, 4.10, 6.2, 6.2.1, 6.3, 6.3.1, 6.4, 6.5, 6.6, 6.7, 6.8, 6.9, 6.11, 7.2.2, 7.2.3, 12.0.1, 12.0.2 | 0,031 | Раздел | Зона 2 пояса санитарной охраны источников питьевого и хозяйственно-бытового водоснабжения - 0,030; техническая зона инженерных коммуникаций и сооружений - 0,031; водоохранная зона - 0,031, прибрежная защитная полоса - 0,031; охранная зона объектов электроэнергетики (объектов электросетевого хозяйства и объектов по производству электрической энергии) - 0,031; санитарно-защитная зона (установленная) - 0,031; зона сильного подтопления - 0,030 | - | ||
| Итого территории участков нежилых зданий и сооружений, дошкольных образовательных и общеобразовательных организаций: | 5,090 | - | - | - | |||
Территории общего пользования | 9 | 3.1.1, 5.1.1, 5.1.2, 5.1.3, 5.1.4, 5.1.5, 5.1.6, 5.2, 5.3, 5.4, 5.5, 7.2.2, 9.1, 12.0.1, 12.0.2 | 2,406 | Раздел | В красных линиях улично-дорожной сети - 2,400 | - | |
| 10 | 3.1.1, 7.2.2, 12.0.1, 12.0.2 | 0,100 | Раздел | Зона 2 пояса санитарной охраны источников питьевого и хозяйственно-бытового водоснабжения - 0,100; в красных линиях улично-дорожной сети - 0,100; водоохранная зона - 0,074; прибрежная защитная полоса - 0,074; береговая полоса - 0,032; зона сильного подтопления - 0,027; зона умеренного подтопления - 0,079 | Планируемое изъятие части земельного участка с кадастровым номером 50:21:0110504:69 в установленном законом порядке - 0,100 га | ||
| 11 | 3.1.1, 7.2.2, 12.0.1, 12.0.2 | 0,670 | Раздел | Зона 2 пояса санитарной охраны источников питьевого и хозяйственно-бытового водоснабжения - 0,670; в красных линиях улично-дорожной сети - 0,670; техническая зона инженерных коммуникаций и сооружений - 0,010; водоохранная зона - 0,662; прибрежная защитная полоса - 0,662; береговая полоса - 0,107 | Планируемое изъятие части земельного участка с кадастровым номером 50:21:0110504:69 в установленном законом порядке - 0,660 га | ||
| 12 | 12.1 | 3.1.1, 7.2.2, 12.0.1, 12.0.2 | 0,670 | Объединение | Зона 2 пояса санитарной охраны источников питьевого и хозяйственно-бытового водоснабжения - 0,760; в красных линиях улично-дорожной сети - 0,760; водоохранная зона - 0,011; прибрежная защитная полоса - 0,011; особо охраняемая зеленая территория - 0,080 | Планируемое изъятие части земельного участка с кадастровым номером 77:17:0110504:7529 в установленном законом порядке - 0,670 га | |
12.2 | 3.1.1, 7.2.2, 12.0.1, 12.0.2 | 0,090 | Образуется из части земельного участка государственной собственности с кадастровым номером 77:17:0000000:3429 - 0,090 га | ||||
| 13 | 13.1 | 3.1.1, 7.2.2, 12.0.1, 12.0.2 | 0,190 | Объединение | Зона 2 пояса санитарной охраны источников питьевого и хозяйственно-бытового водоснабжения - 1,480; в красных линиях улично-дорожной сети - 1,540; техническая зона инженерных коммуникаций и сооружений - 0,190; водоохранная зона - 0,412; прибрежная защитная полоса - 0,412; охранная зона объектов электроэнергетики (объектов электросетевого хозяйства и объектов по производству электрической энергии) - 0,190; санитарно-защитная зона (установленная) - 0,803 | Планируемое изъятие части земельного участка с кадастровым номером 50:21:0110504:69 в установленном законом порядке - 0,190 га | |
13.2 | 3.1.1, 7.2.2, 12.0.1, 12.0.2 | 0,210 | Планируемое изъятие части земельного участка с кадастровым номером 77:17:0110504:7529 в установленном законом порядке - 0,210 га | ||||
13.3 | 3.1.1, 7.2.2, 12.0.1, 12.0.2 | 1,140 | Планируемое изъятие части земельного участка с кадастровым номером 77:17:0110504:7528 в установленном законом порядке - 1,140 га | ||||
| 14 | 14.1 | 3.1.1, 7.2.2, 12.0.1, 12.0.2 | 0,460 | Объединение | В красных линиях улично-дорожной сети - 0,970; особо охраняемая зеленая территория - 0,460; санитарно-защитная зона (установленная) - 0,268 | Образуется из части земельного участка государственной собственности с кадастровым номером 77:17:0000000:3429 - 0,460 га | |
14.2 | 3.1.1, 7.2.2, 12.0.1, 12.0.2 | 0,430 | Планируемое изъятие части земельного участка с кадастровым номером 77:17:0110504:7528 в установленном законом порядке - 0,430 га | ||||
14.3 | 3.1.1, 7.2.2, 12.0.1, 12.0.2 | 0,080 | Образуется из земель, государственная собственность на которые не разграничена, - 0,080 га | ||||
| 15 | 15.1 | 3.1.1, 12.0.1, 12.0.2 | 0,180 | Объединение | Зона 2 пояса санитарной охраны источников питьевого и хозяйственно-бытового водоснабжения - 0,180; в красных линиях улично-дорожной сети - 0,330 | Планируемое изъятие части земельного участка с кадастровым номером 77:17:0110504:7529 в установленном законом порядке - 0,180 га | |
15.2 | 3.1.1, 12.0.1, 12.0.2 | 0,150 | Планируемое изъятие части земельного участка с кадастровым номером 77:17:0110504:7528 в установленном законом порядке - 0,150 га | ||||
| 16 | 3.1.1, 12.0.1, 12.0.2 | 0,180 | Раздел | Зона 2 пояса санитарной охраны источников питьевого и хозяйственно-бытового водоснабжения - 0,150; в красных линиях улично-дорожной сети - 0,180; санитарно-защитная зона (установленная) - 0,137 | Планируемое изъятие части земельного участка с кадастровым номером 77:17:0110504:7528 в установленном законом порядке - 0,180 га | ||
17
| 3.1.1, 7.2.2, 12.0.1, 12.0.2 | 0,300 | Раздел | Зона 2 пояса санитарной охраны источников питьевого и хозяйственно-бытового водоснабжения - 0,300; в красных линиях улично-дорожной сети - 0,300 | Планируемое изъятие части земельного участка с кадастровым номером 77:17:0110504:7528 в установленном законом порядке - 0,300 га | ||
18
| 3.0, 3.1.1, 3.6.1, 3.6.3, 4.1, 4.2, 4.3, 4.4, 4.5, 4.6, 4.8.1, 4.8.2, 4.9, 4.10, 6.2, 6.2.1, 6.3, 6.3.1, 6.4, 6.5, 6.6, 6.7, 6.8, 6.9, 6.11, 7.2.2, 7.2.3, 12.0.1, 12.0.2 | 23,078 | Раздел | Зона 1 пояса санитарной охраны источников питьевого и хозяйственно-бытового водоснабжения - 3,420; зона 2 пояса санитарной охраны источников питьевого и хозяйственно-бытового водоснабжения - 8,720; в красных линиях улично-дорожной сети - 22,107; в красных линиях объектов дорожно-мостового строительства - 0,971; техническая зона инженерных коммуникаций и сооружений - 6,330; водоохранная зона - 1,001; прибрежная защитная полоса - 1,001; береговая полоса - 0,156; охранная зона объектов электроэнергетики (объектов электросетевого хозяйства и объектов по производству электрической энергии) - 6,110; санитарно-защитная зона (установленная) - 13,753 | - | ||
19
| 3.1.1, 12.0.1, 12.0.2 | 0,090 | Перераспределение | Зона 1 пояса санитарной охраны источников питьевого и хозяйственно-бытового водоснабжения - 0,060; зона 2 пояса санитарной охраны источников питьевого и хозяйственно-бытового водоснабжения - 0,090; техническая зона инженерных коммуникаций и сооружений - 0,090; водоохранная зона - 0,050; прибрежная защитная полоса - 0,050; береговая полоса - 0,011; охранная зона объектов электроэнергетики (объектов электросетевого хозяйства и объектов по производству электрической энергии) - 0,080; в красных линиях территории общего пользования - 0,090 | - | ||
20
| 3.1.1, 12.0.1, 12.0.2 | 0,200 | Раздел | Зона 2 пояса санитарной охраны источников питьевого и хозяйственно-бытового водоснабжения - 0,200; в красных линиях территории общего пользования - 0,200 | |||
21
| 3.1.1, 12.0.1, 12.0.2 | 0,330 | Раздел | Зона 2 пояса санитарной охраны источников питьевого и хозяйственно-бытового водоснабжения - 0,110; в красных линиях территории общего пользования - 0,330 | - | ||
| Итого территории общего пользования: | 30,954 | - | - | - | |||
Общественные территории | 22
| 3.1.1, 12.0.2 | 0,120 | Раздел | Санитарно-защитная зона (установленная) - 0,093 | - | |
23
| 3.1.1, 5.1.1, 5.1.2, 5.1.3, 5.1.4, 5.1.5, 5.1.6, 5.2, 5.3, 5.4, 5.5, 9.1, 7.2.2, 12.0.1, 12.0.2 | 0,776 | Раздел | Особо охраняемая зеленая территория - 0,776 | |||
24
| 3.1.1, 7.2.2, 12.0.1, 12.0.2 | 1,500 | Раздел | Зона 1 пояса санитарной охраны источников питьевого и хозяйственно-бытового водоснабжения - 0,370; зона 2 пояса санитарной охраны источников питьевого и хозяйственно-бытового водоснабжения - 1,500; техническая зона инженерных коммуникаций и сооружений - 1,190; водоохранная зона - 1,094; прибрежная защитная полоса - 1,094; береговая полоса - 0,407; охранная зона объектов электроэнергетики (объектов электросетевого хозяйства и объектов по производству электрической энергии) - 1,180 | |||
25
| 3.1.1, 7.2.2, 12.0.1, 12.0.2 | 0,330 | Раздел | Зона 1 пояса санитарной охраны источников питьевого и хозяйственно-бытового водоснабжения - 0,160; зона 2 пояса санитарной охраны источников питьевого и хозяйственно-бытового водоснабжения - 0,330; техническая зона инженерных коммуникаций и сооружений - 0,330; водоохранная зона - 0,207; прибрежная защитная полоса - 0,207; охранная зона объектов электроэнергетики (объектов электросетевого хозяйства и объектов по производству электрической энергии) - 0,320 | |||
26
| 3.1.1, 7.2.2, 12.0.1, 12.0.2 | 0,730 | Раздел | Зона 1 пояса санитарной охраны источников питьевого и хозяйственно-бытового водоснабжения - 0,004; зона 2 пояса санитарной охраны источников питьевого и хозяйственно-бытового водоснабжения - 0,730; техническая зона инженерных коммуникаций и сооружений - 0,670; водоохранная зона - 0,582; прибрежная защитная полоса - 0,582; береговая полоса - 0,146; охранная зона объектов электроэнергетики (объектов электросетевого хозяйства и объектов по производству электрической энергии) - 0,670; санитарно-защитная зона (установленная) - 0,067 | |||
27
| 3.1.1, 7.2.2, 12.0.1, 12.0.2 | 1,590 | Раздел | Зона 1 пояса санитарной охраны источников питьевого и хозяйственно-бытового водоснабжения - 1,100; зона 2 пояса санитарной охраны источников питьевого и хозяйственно-бытового водоснабжения - 1,590; техническая зона инженерных коммуникаций и сооружений - 0,970; водоохранная зона - 0,711; прибрежная защитная полоса - 0,711; береговая полоса - 0,083; охранная зона объектов электроэнергетики (объектов электросетевого хозяйства и объектов по производству электрической энергии) - 0,960; санитарно-защитная зона (установленная) - 0,730 | |||
28
| 3.1.1, 7.2.2, 12.0.1, 12.0.2 | 0,110 | Раздел | Водоохранная зона - 0,110; прибрежная защитная полоса - 0,110 | - | ||
| Итого общественные территории: | 5,156 | - | - | - | |||
| Всего: | 46,000 | - | - | - | |||
______________________________
2 Описание видов разрешенного использования земельных участков в соответствии с приказом Росреестра от 10 ноября 2020 г. N П/0412 "Об утверждении классификатора видов разрешенного использования земельных участков"
2.3. Таблица "Сведения о границах территории, в отношении которой утвержден проект межевания территории"
| Координаты точки (Система координат, используемая для ведения Единого государственного реестра недвижимости (МСК-77) | |
X | Y |
-5099.45 | -4097.90 |
-5087.40 | -4097.85 |
-4945.02 | -4048.24 |
-4935.41 | -4044.94 |
-4937.90 | -4036.25 |
-4892.57 | -4023.17 |
-4822.77 | -3991.05 |
-4823.77 | -3991.80 |
-4824.73 | -3992.63 |
-4825.64 | -3993.51 |
-4826.50 | -3994.45 |
-4827.29 | -3995.44 |
-4828.02 | -3996.47 |
-4828.03 | -3996.50 |
-4828.69 | -3997.58 |
-4829.27 | -3998.69 |
-4829.79 | -3999.85 |
-4830.23 | -4001.03 |
-4830.59 | -4002.24 |
-4830.88 | -4003.47 |
-4831.09 | -4004.72 |
-4831.22 | -4005.98 |
-4831.27 | -4007.24 |
-4831.24 | -4008.50 |
-4830.73 | -4012.01 |
-4794.55 | -4048.18 |
-4788.57 | -4043.83 |
-4778.16 | -4054.23 |
-4816.68 | -4081.29 |
-4812.50 | -4089.89 |
-4805.83 | -4103.64 |
-4805.22 | -4104.88 |
-4803.70 | -4107.85 |
-4802.10 | -4110.80 |
-4800.43 | -4113.70 |
-4798.70 | -4116.56 |
-4796.90 | -4119.38 |
-4795.03 | -4122.15 |
-4793.09 | -4124.88 |
-4791.09 | -4127.57 |
-4789.02 | -4130.20 |
-4786.90 | -4132.78 |
-4784.71 | -4135.32 |
-4782.46 | -4137.80 |
-4780.16 | -4140.22 |
-4777.79 | -4142.59 |
-4775.37 | -4144.90 |
-4772.90 | -4147.16 |
-4770.37 | -4149.35 |
-4767.79 | -4151.48 |
-4765.16 | -4153.55 |
-4762.49 | -4155.56 |
-4759.76 | -4157.50 |
-4756.99 | -4159.38 |
-4642.31 | -4235.06 |
-4575.65 | -4278.84 |
-4570.33 | -4281.70 |
-4568.43 | -4282.62 |
-4565.85 | -4283.79 |
-4563.25 | -4284.89 |
-4560.61 | -4285.92 |
-4557.95 | -4286.87 |
-4555.26 | -4287.74 |
-4552.54 | -4288.54 |
-4549.81 | -4289.26 |
-4547.05 | -4289.90 |
-4544.28 | -4290.46 |
-4541.50 | -4290.95 |
-4538.70 | -4291.36 |
-4535.89 | -4291.68 |
-4366.79 | -4213.39 |
-4314.99 | -4325.27 |
-4321.81 | -4328.33 |
-4322.63 | -4328.72 |
-4324.32 | -4329.58 |
-4325.97 | -4330.51 |
-4327.58 | -4331.51 |
-4329.15 | -4332.58 |
-4330.67 | -4333.71 |
-4332.15 | -4334.90 |
-4333.57 | -4336.16 |
-4334.94 | -4337.48 |
-4336.25 | -4338.85 |
-4337.50 | -4340.27 |
-4338.69 | -4341.75 |
-4339.81 | -4343.28 |
-4340.88 | -4344.85 |
-4341.87 | -4346.47 |
-4342.80 | -4348.12 |
-4343.65 | -4349.82 |
-4344.43 | -4351.54 |
-4345.14 | -4353.30 |
-4345.78 | -4355.09 |
-4347.38 | -4360.96 |
-4356.92 | -4398.71 |
-4368.12 | -4443.01 |
-4400.87 | -4516.87 |
-4461.46 | -4554.49 |
-4510.45 | -4571.16 |
-4510.17 | -4585.64 |
-4509.08 | -4641.70 |
-4580.25 | -4675.84 |
-4605.28 | -4624.25 |
-4612.61 | -4609.17 |
-4698.84 | -4585.35 |
-4720.04 | -4574.26 |
-4758.67 | -4538.86 |
-4765.56 | -4532.56 |
-4828.74 | -4548.41 |
-4912.81 | -4587.71 |
-4913.13 | -4587.85 |
-4912.25 | -4589.83 |
-4957.27 | -4610.71 |
-4961.71 | -4612.77 |
-4962.52 | -4610.94 |
-4995.00 | -4626.12 |
-4994.84 | -4631.43 |
-5027.87 | -4645.87 |
-5111.83 | -4682.37 |
-5236.96 | -4737.26 |
-5276.92 | -4646.02 |
-5309.24 | -4572.21 |
-5310.15 | -4570.13 |
-5312.30 | -4565.24 |
-5321.15 | -4545.04 |
-5322.21 | -4208.09 |
-5363.21 | -4210.33 |
-5459.86 | -4215.47 |
-5475.31 | -4234.96 |
-5520.99 | -4202.12 |
-5545.37 | -4196.40 |
-5545.29 | -4195.98 |
-5541.75 | -4179.40 |
-5541.59 | -4173.79 |
-5533.72 | -4159.05 |
-5525.93 | -4158.60 |
-5348.18 | -4134.24 |
-5282.68 | -4153.03 |
-5201.22 | -4148.87 |
-5176.89 | -4098.23 |
-5108.45 | -4097.93 |
-5103.74 | -4097.91 |
