Постановление Правительства Москвы от 07.04.2020 N 348-ПП "О внесении изменений в постановление Правительства Москвы от 28 марта 2017 г. N 120-ПП"
ПРАВИТЕЛЬСТВО МОСКВЫ
ПОСТАНОВЛЕНИЕ
7 апреля 2020 г. N 348-ПП
О внесении изменений в постановление Правительства Москвы от 28 марта 2017 г. N 120-ПП
В соответствии с Градостроительным кодексом Российской Федерации, Законом города Москвы от 25 июня 2008 г. N 28 "Градостроительный кодекс города Москвы", постановлением Правительства Москвы от 7 апреля 2009 г. N 270-ПП "О создании Городской комиссии по вопросам градостроительства, землепользования и застройки при Правительстве Москвы и об утверждении положений о Городской и окружной комиссиях по вопросам градостроительства, землепользования и застройки при Правительстве Москвы" Правительство Москвы постановляет:
1. Внести изменения в постановление Правительства Москвы от 28 марта 2017 г. N 120-ПП "Об утверждении правил землепользования и застройки города Москвы" (в редакции постановления Правительства Москвы от 18 декабря 2019 г. N 1769-ПП):
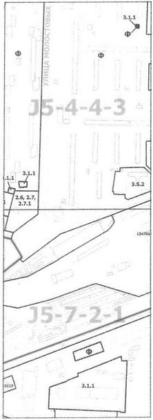
1.1. Листы J5-4-4-3 и J5-7-2-1 карты градостроительного зонирования "Границы территориальных зон и виды разрешенного использования земельных участков и объектов капитального строительства. Восточный административный округ города Москвы" раздела 1 книги 5 территориальной части правил землепользования и застройки приложения к постановлению изложить в редакции согласно приложению 1 к настоящему постановлению.
1.2. Лист J5-4-4-3 карты градостроительного зонирования "Границы территориальных зон, подзон территориальных зон и предельные параметры разрешенного строительства, реконструкции объектов капитального строительства. Восточный административный округ города Москвы" раздела 1 книги 5 территориальной части правил землепользования и застройки приложения к постановлению изложить в редакции согласно приложению 2 к настоящему постановлению.
2. Контроль за выполнением настоящего постановления возложить на заместителя Мэра Москвы в Правительстве Москвы по вопросам градостроительной политики и строительства Бочкарева А.Ю.
Мэр Москвы С.С.Собянин
Приложение 1
к постановлению Правительства Москвы от 7 апреля 2020 г. N 348-ПП
Внесение изменений в приложение к постановлению Правительства Москвы от 28 марта 2017 г. N 120-ПП
Книга 5
Карта градостроительного зонирования
Границы территориальных зон и виды разрешенного использования земельных участков и объектов капитального строительства
Восточный административный округ города Москвы
Приложение 2
к постановлению Правительства Москвы от 7 апреля 2020 г. N 348-ПП
Внесение изменения в приложение к постановлению Правительства Москвы от 28 марта 2017 г. N 120-ПП
Книга 5
Карта градостроительного зонирования
Границы территориальных зон, подзон территориальных зон и предельные параметры разрешенного строительства, реконструкции объектов капитального строительства
Восточный административный округ города Москвы
