Постановление Правительства Москвы от 23.07.2019 N 935-ПП "Об утверждении проекта планировки территории, ограниченной Озерной улицей, улицей Лобачевского, проектируемым проездом N 1523 и рекой Очаковка"
ПРАВИТЕЛЬСТВО МОСКВЫ
ПОСТАНОВЛЕНИЕ
23 июля 2019 г. N 935-ПП
Об утверждении проекта планировки территории, ограниченной Озерной улицей, улицей Лобачевского, проектируемым проездом N 1523 и рекой Очаковка
(В редакции Постановления Правительства Москвы от 26.11.2019 N 1576-ПП)
В соответствии с Градостроительным кодексом Российской Федерации, Законом города Москвы от 25 июня 2008 г. N 28 "Градостроительный кодекс города Москвы", пунктом 8.1 постановления Правительства Москвы от 30 апреля 2019 г. N 449-ПП "Об утверждении Положения о составе, порядке подготовки, согласования и представления на утверждение проектов планировки территории в городе Москве" и постановлением Правительства Москвы" от 28 марта 2017 г. N 120-ПП "Об утверждении правил землепользования и застройки города Москвы" Правительство Москвы постановляет: (В редакции Постановления Правительства Москвы от 26.11.2019 N 1576-ПП)
1. Утвердить проект планировки территории, ограниченной Озерной улицей, улицей Лобачевского, проектируемым проездом N 1523 и рекой Очаковка (приложение 1).
2. Изменить границы объекта природного комплекса N 117 Западного административного округа города Москвы "Долина р.Очаковки от пр. N 1523 до ул.Лобачевского", исключив из его состава участки территории общей площадью 6,41 га согласно приложению 2 к настоящему постановлению.
3. Изменить границы объекта природного комплекса N 204 Западного административного округа города Москвы "Озелененная территория вдоль улицы Терешково", включив в его состав участок территории площадью 0,75 га согласно приложению 3 к настоящему постановлению.
4. Включить в состав природных и озелененных территорий Западного административного округа города Москвы участок территории площадью 5,76 га, образовав объект природного комплекса N 205 "Озелененная территория по Новомещерскому проезду" и установив его границы согласно приложению 4 к настоящему постановлению.
5. Внести изменения в постановление Правительства Москвы от 19 января 1999 г. N 38 "О проектных предложениях по установлению границ Природного комплекса с их описанием и закреплением актами красных линий" (в редакции постановлений Правительства Москвы от 29 ноября 2016 г. N 788-ПП, от 26 октября 2018 г. N 1311-ПП):
5.1. Пункты 117, 204 раздела "Западный АО" приложения 1 к постановлению изложить в редакции согласно приложению 5 к настоящему постановлению.
5.2. Раздел "Западный АО" приложения 1 к постановлению дополнить пунктом 205 в редакции согласно приложению 5 к настоящему постановлению.
6. Контроль за выполнением настоящего постановления возложить на заместителя Мэра Москвы в Правительстве Москвы по вопросам градостроительной политики и строительства Хуснуллина М.Ш.
Мэр Москвы С.С.Собянин
Приложение 1
к постановлению Правительства Москвы
от 23 июля 2019 г. N 935-ПП
ПРОЕКТ ПЛАНИРОВКИ
территории, ограниченной Озерной улицей, улицей Лобачевского, проектируемым проездом N 1523 и рекой Очаковка
1. Пояснительная записка
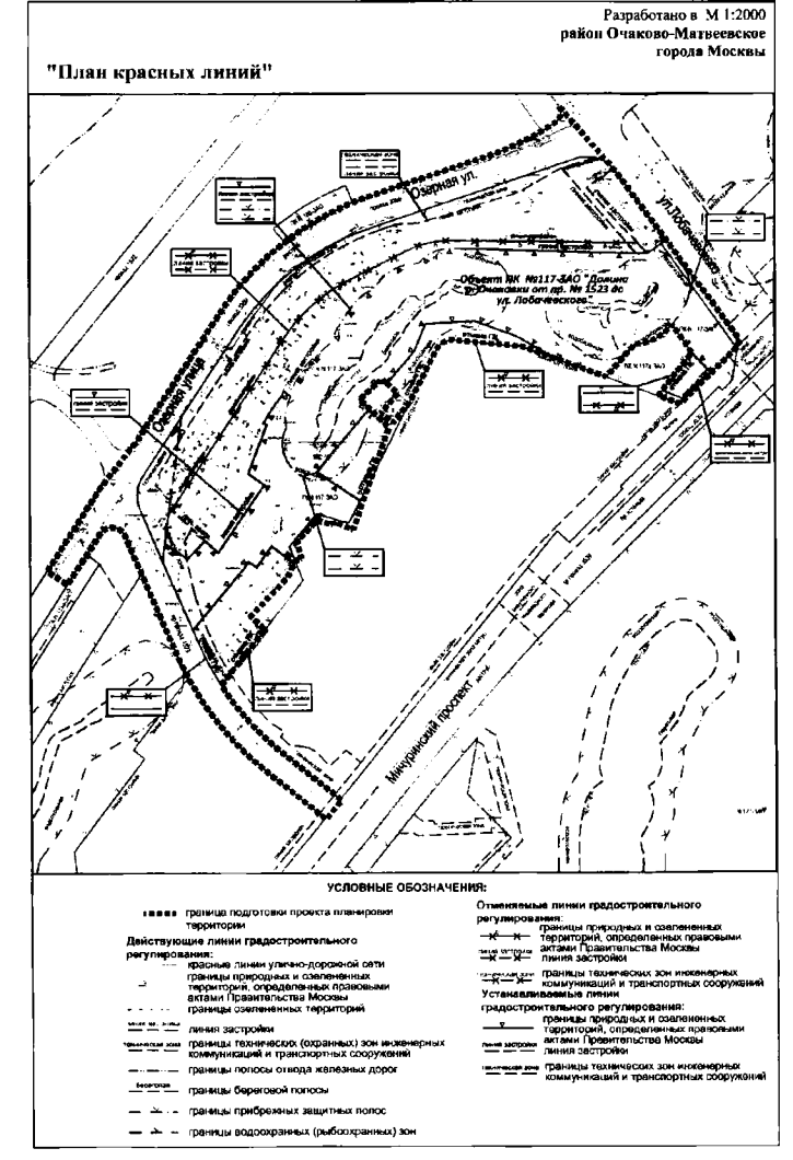
Территория подготовки проекта планировки площадью 29,07 га расположена в районе Очаково-Матвеевское Западного административного округа города Москвы и ограничена:
- с севера - улицей Озерной;
- с юга - границей объекта природного комплекса Западного административного округа города Москвы N 117 "Долина р. Очаковки от пр. N 1523 до ул. Лобачевского";
- с востока - улицей Лобачевского;
- с запада - проектируемым проездом N 1523.
В границах проекта планировки территории расположены: гаражные кооперативы, автомобильная заправочная станция, автосервис.
Проектом планировки территории предусмотрен вывод гаражных комплексов (участки N 1, 2, 3, 5, 13, 14, 16 на плане "Функционально-планировочная организация территории" и на плане "Границы зон планируемого размещения объектов").
Проектом планировки территории предусматривается строительство следующих объектов суммарной поэтажной площадью наземной части в габаритах наружных стен 265,85 тыс.кв.м (номер участка на плане "Функционально-планировочная организация территории" и на плане "Границы зон планируемого размещения объектов"):
- многоквартирных домов со встроенно-пристроенными нежилыми помещениями, с дошкольной образовательной организацией на 100 мест (участок N 1);
- общеобразовательной школы емкостью на 750 мест (участок N 2);
- дошкольной образовательной организации емкостью на 225 мест (участок N 3).
Проектом планировки предусматривается реконструкция:
- здания автотехцентра с размещением предприятия быстрого питания (участок N 8 на плане "Функционально-планировочная организация территории" и на плане "Границы зон планируемого размещения объектов").
В целях благоустройства территории предусматривается (номер участка на плане "Функционально-планировочная организация территории" и на плане "Границы зон планируемого размещения объектов"):
- размещение спортивных площадок (участок N 4);
- размещение открытой автостоянки на 400 машино-мест (участок N 5);
- озеленение территории общего пользования (участки N 13 и N 14).
В целях обеспечения реализации планировочных решений проектом планировки территории предусматривается изменение границ объектов природного комплекса N 117 Западного административного округа города Москвы "Долина р. Очаковки от пр. N 1523 до ул.Лобачевского" путем исключения из его состава участков территории общей площадью 6,41 га и природного комплекса N 204 Западного административного округа города Москвы "Озелененная территория вдоль улицы Терёшково" путем включения в его состав участка территории площадью 0,75 га.
В целях сохранения общего баланса природных и озелененных территорий Западного административного округа города Москвы предусматривается:
- изменение границ объекта природного комплекса N 204 Западного административного округа города Москвы "Озелененная территория вдоль улицы Терёшково" путем включения в его состав участка территории площадью 0,75 га;
- образование объекта природного комплекса N 205 Западного административного округа города Москвы "Озелененная территория по Новомещерскому проезду" площадью 5,76 га.
Для развития транспортной инфраструктуры территории предусматриваются строительство проектируемого проезда N 1523, размещение светофорных объектов и оборудование остановок общественного транспорта на улице Озерная (участок N 16 на плане "Функционально-планировочная организация территории" и на плане "Границы зон планируемого размещения объектов").
В целях развития инженерно-технического обеспечения территории предусматриваются строительство и реконструкция инженерных коммуникаций и объектов:
- водоснабжение - прокладка водопроводной сети протяженностью 0,92 км Д=250 мм;
- канализование - перекладка участка коллектора Д=1000 мм; строительство внутриквартальных сетей Д=200-300 мм;
- дождевая канализация - прокладка дополнительной и частичной перекладки существующей сети дождевой канатизации Д=900-2000 мм общей протяженностью 0,7 км;
- теплоснабжение - строительство тепловых сетей 2Д = 200 мм и 2Д = 125 мм протяженностью 0,5 км;
- электроснабжение - строительство кабельных линий общей протяженностью 6,5 км;
- телефонизация - строительство телефонной канализации общей протяженностью 0,8 км.
Проектом планировки территории предусмотрено сохранение существующей застройки (участок N 7 на плане "Межевание территории").
При проведении работ предусмотреть мероприятия, направленные на сохранность и эксплуатационную надежность существующих инженерных коммуникаций, попадающих в зону проведения работ, а также по установлению границ охранных зон инженерных коммуникаций и сооружений.
В составе проекта планировки выполнен план "Межевание территории", определены границы земельных участков территорий общего пользования, участков сохраняемых и планируемых к размещению объектов капитального строительства, установлены ограничения по использованию земельных участков. Характеристики участков представлены в разделе 3 "Характеристика земельных участков территории" настоящего приложения.
2. Таблица "Участки территории (зоны) планируемого размещения объектов" к плану "Функционально-планировочная организация территории" и плану "Границы зон планируемого размещения объектов"
N участка на плане | N объекта на плане | Виды разрешенного использования земельных участков и объектов капитального строительства | Площадь участков, га | Предельные параметры участка | Наименование объекта | Показатели объекта | |||||
Плотность застройки, тыс.кв.м/га | Высота застройки, м | Застроенность,% |
| Суммарная поэтажная наземная плошадь части в габаритах наружных стен, тыс. кв. м | Использов | Госте | Примеча | ||||
1 | 2 | 3 | 4 | 5 | 6 | 7 | 8 | 9 | 10 | 11 | 12 |
11 | 1.1 | 2.6.0 - размещение жилых домов, предназначенных для разделения на кваргиры, каждая из которых пригодна для постоянного проживания (жилые дома высотой девять и выше этажей, включая подземные, разделенных на двадцать и более квартир); благоустройство и озеленение придомовых территорий; обустройство спортивных и детских площадок, хозяйственных площадок; размещение подземных гаражей и наземных автостоянок, размещение объектов обслуживания жилой застройки во встроенных, пристроенных и встроенно-присгроенных помещениях многоквартирного дома, в отдельных помещениях дома, если площадь таких помещений в многоквартирном доме не составляет более 15% от общей площади дома. | 5,87 | 42,6 | 160 | 35 | Многоквартирные дома со встроенно-пристроенными нежилыми помещениями, в том числе: | 250,0 | Технические помещения, подземный паркинг | 225 | 2068 машино- мест 100 мест |
Жилая часть | 235,0 | ||||||||||
Нежилая часть (в том числе ДОО на 100 мест, фитнес-центр, центр детского творчества, объекты здравоохранения)
Встроенно-пристроенная дошкольная образовательная организация | 15,0 | ||||||||||
3.5.1.0 - размещение объектов капитального строительства, предназначенных для просвещения, дошкольного, начального и среднего общего образования (детские ясли, детские сады, школы, школы- интернаты, лицеи, гимназии, художественные, музыкальные школы, образовательные кружки и иные организации, осуществляющие деятельность по воспитанию, образованию и просвещению). 2.7.0 - размещение объектов капитального строительства, размещение которых предусмотрено видами разрешенного использования с кодами: 3.1.2, 3.1.3, 3.2.2, 3.2.3, 3.2.4, 3.3.0, 3.4.1.0, 3.5.1.0, 3.6.1, 3.7.1, 3.8.2, 3.10.1.0, 4.1.0, 4.4.0, 4.6.0, 3.1.1, если их размещение связано с удовлетворен ием повседневных потребностей жителей, не причиняет вреда окружающей среде и санитарному благополучию, не причиняет существенного неудобства жителям, не требует установления санитарной зоны. 4.9.0 - размещение постоянных или временных гаражей с несколькими стояночными местами, стоянок (парковок), гаражей, в том числе многоярусных, не указанных в коде 2.7.1.0 | |||||||||||
| |||||||||||
2 | 2.1 | 3.5.1.0 - размещение объектов капитального строительства, предназначенных для просвещения, дошкольного, начального и среднего общего образования (детские ясли, детские сады, школы, школы- интернаты, лицеи, гимназии, художественные, музыкальные школы, образовательные кружки и иные организации, осуществляющие деятельность по воспитанию, образованию и просвещению) | 1,38 | 8,8 | 25 | 30 | Общеобразовательная организация | 12,1 | Технические помещения | - | 750 мест |
3 | 3.1 | 3.5.1.0 - размещение объектов капитального строительства, предназначенных для просвещения, дошкольного, начального и среднего общего образования (детские ясли, детские сады, школы, школы- интернаты, лицеи, гимназии, художественные, музыкальные школы, образовательные кружки и иные организации, осуществляющие деятельность по воспитанию, образованию и просвещению) | 0,60 | 6,25 | 15 | 30 | Дошкольная образовательная организация | 3,75 | - | - | 225 мест |
4 | - | 5.1.3 - устройство площадок для занятия спортом и физкультурой (беговые дорожки, спортивные сооружения, теннисные корты, ноля для спортивной игры, автодромы, мотодромы, трамплины и т.п., трассы и спортивные стрельбища), в том числе водными видами спорта (причалы и сооружения, необходимые для водных видов спорта и хранения соответствующего инвентаря) | 0,64 | 0 | 0 | 0 | - | - | - | - | - |
5 | - | 4.9.0 - размещение постоянных или временных гаражей с несколькими стояночными местами, стоянок (парковок), гаражей, в том числе многоярусных, не указанных в коде 2.7.1.0 | 0,97 | 0 | 0 | 0 | - | - | - | - | 400 машино-мест |
8 | 8.1 | 4.4.0 - размещение объектов капитального строительства, предназначенных для продажи товаров, торговая площадь которых составляет до 5000 кв. м. 4.6.0 - размещение объектов капитального строительства в целях устройства мест общественного питания (рестораны, кафе, столовые, закусочные, бары). 4.9.1.1 - размещение автозаправочных станций (бензиновых, газовых); размещение магазинов сопутствующей торговли, зданий для организации общественного питания в качестве объектов придорожного сервиса | 0,16 | 10,5 | 15 | - | Реконструкция автотехцентра с размещением предприятия быстрого питания | - | - | - | - |
13 | - | 12.0.1 - Размещение береговых полос водных объектов общего пользования, скверов, бульваров, парков, садов, велодорожек и объектов велотранспортной инфраструктуры, малых архитектурных форм | 0,17 | 0 | 0 | 0 | - | - | - | - | - |
14 | - | 12.0.1 - Размещение береговых полос водных объектов общего пользования, скверов, бульваров, парков, садов, велодорожек и объектов велотранспортной инфраструктуры, малых архитектурных форм | 0,75 | 0 | 0 | 0 | - | - | - | - | - |
15 | - | 12.0.2 - Размещение объектов улично-дорожной сети: проездов, площадей, автомобильных дорог и пешеходных тротуаров, пешеходных переходов, набережных, искусственных сооружений, велодорожек и объектов велотранспортной инфраструктуры | 4,06 | 0 | 0 | 0 | - | - | - | - | - |
16 | - | 12.0.2 - Размещение объектов улично-дорожной сети: проездов, площадей, автомобильных дорог и пешеходных тротуаров, пешеходных переходов, набережных, искусственных сооружений, велодорожек и объектов велотранспортной инфраструктуры | 1,92 | 0 | 0 | 0 | - | - | - | - | - |
_______________
1Размещение объекта возможно при наличии санитарно-эпидемиологического заключения и принятии в установленном порядке решения об изменении размера либо отсутствии санитарно-защитной зоны.
3. Таблица "Характеристика земельных участков территории"
к плану "Межевание территории"
Назначение территории | N участков на плане | Виды разрешенного использования земельных участков и объектов капитального строительства | Территория в границах участука (га) | Вид ограничений, обременений на участке |
Территории земельных участков, частей участков жилых зданий, свободные от обременений | 1 | 2.6.0 - размещение жилых домов, предназначенных для разделения на квартиры, каждая из которых пригодна для постоянного проживания (жилые дома высотой девять и выше этажей, включая подземные, разделенных на двадцать и более квартир); благоустройство и озеленение придомовых территорий; обустройство спортивных и детских площадок, хозяйственных площадок; размещение подземных гаражей и наземных автостоянок, размещение объектов обслуживания жилой застройки во встроенных, пристроенных и встроенно-пристроенных помещениях многоквартирного дома в отдельных помещениях дома, если площадь таких помещений в многоквартирном доме не составляет более 15% от общей площади дома. 3.5.1.0 - размещение объектов капитального строительства, предназначенных для просвещения, дошкольного, начального и среднего общего образования (детские ясли, детские сады, школы, школы-интернаты, лицеи, гимназии, художественные, музыкальные школы, образовательные кружки и иные организации, осуществляющие деятельность по воспитанию, образованию и просвещению). 2.7.0 - размещение объектов капитального строительства, размещение которых предусмотрено видами разрешенного использования с кодами 3.1.2 (N 3), 3.1.3 (N 4), 3.2.2 (N 6), 3.2.3 (N 7), 3.2.4 (N 8), 3.3.0 (N 9), 3.4.1.0 (N 11), 3.5.1.0 (N 13), 3.6.1 (N 15), 3.7.1 (N 18), 3.8.2 (N 21), 3.10.1.0 (N 24), 3.10.1.1, (N 27), 4.4.0 (N 30), 4.6.0 (N 32), 3.1.1 (N 59), если их размещение связано с удовлетворением повседневных потребностей жителей, не причиняет вреда окружающей среде и санитарному благополучию, не причиняет существенного неудобства жителям, не требует установления санитарной зоны. 4.9.1 - размещение постоянных или временных гаражей с несколькими стояночными местами, стоянок (парковок), гаражей, в том числе многоярусных, не указанных в коде 2.7.1.0 | 5,87 | Использование подземного пространства - 2,53 га; техническая зона инженерных коммуникаций - 0,87 га |
Итого территории земельных участков, частей участков жилых зданий, свободные от обременений | 5,87 | - | ||
Территории земельных участков нежилых зданий, строений, сооружений, территории земельных участков обзеобразовательных организаций | 2 | 3.5.1.0 - размещение объектов капитального строительства, предназначенных для просвещения, дошкольного, начального и среднего общего образования (детские ясли, детские сады, школы, школы-интернаты, лицеи, гимназии, художественные, музыкальные школы, образовательные кружки и иные организации, осуществляющие деятельность по воспитанию, образованию и просвещению) | 1,38 | - |
| 3 | 3.5.1.0 - размещение объектов капитального строительства, предназначенных для просвещения, дошкольного, начального и среднего общего образования (детские ясли, детские сады, школы, школы-интернаты, лицеи, гимназии, художественные, музыкальные школы, образовательные кружки и иные организации, осуществляющие деятельность по воспитанию, образованию и просвещению) | 0,6 | - | |
| 4 | 5.1.3 - устройство площадок для занятия спортом и физкультурой (беговые дорожки, спортивные сооружения, теннисные корты, поля для спортивной игры, автодромы, мотодромы, трамплины и т.п., трассы и спортивные стрельбища), в том числе водными видами спорта (причалы и сооружения, необходимые для водных видов спорта и хранения соответствующего инвентаря) | 0,64 | Водоохранная зона - 0,26 га | |
| 5 | 4.9.0 - размещение постоянных или временных гаражей с несколькими стояночными местами, стоянок (парковок), гаражей, в том числе многоярусных, не указанных в коде 2.7.1.0 | 0,97 | - | |
| 7 | Ф - фактическое использование2 | 0,31 | - | |
| 8 | 4.9.0 - размещение объектов капитального строительства, предназначенных для продажи товаров, торговая площадь которых составляет до 5000 кв. м. 4.4.0 - размещение объектов капитального строительства в целях устройства мест общественного питания (рестораны, кафе, столовые, закусочные, бары). 4.9.1.1 - размещение автозаправочных станций (бензиновых, газовых); размещение магазинов сопутствующей торговли, зданий для организации общественного питания в качестве объектов придорожного сервиса | 0,16 | ||
Итого территории земельных участков нежилых зданий, строений, сооружений, территории земельных участков образовательных организаций | 4,06 | - | ||
Территории общего пользования, в том числе участки проездов, проходов, зеленых насаждений, линейных объектов | 6 | Ф - фактическое использование2 | 10,61 | Техническая зона инженерных коммуникаций - 0,29 га; озелененная территория общего пользования - 10,61 га; водоохранная зона в том числе участки проездов, проходов, зеленых насаждений-6,14 га; прибрежная зона - 6,14 га; береговая полоса - 1,01 га |
| 9 | Ф - фактическое использование2 | 0,35 | Техническая зона инженерных коммуникаций - 0,03 га | |
| 15 | Ф - фактическое использование2 | 4,06 | Улично-дорожная сеть- 4,06 га | |
| 16 | 12.0.2 - размещение объектов улично-дорожной сети: проездов, площадей, автомобильных дорог и пешеходных тротуаров, пешеходных переходов, набережных, искусственных сооружений, велодорожек и объектов велотранспортной инфраструктуры | 1,92 | Улично-дорожная сеть- 1,92 га | |
Итого территории общего пользования, в том числе участки проездов, проходов, зеленых насаждений, линейных объектов | 16,94 | |||
Неразграниченные территории | 10 | Ф - фактическое использование2 | 0,25 | Озелененная территория общего пользования - 0,03 га |
| 11 | Ф - фактическое использование2 | 0,73 | Водоохранная зона - 0,29 га | |
| 12 | Ф - фактическое использование2 | 0,12 | - | |
| 13 | 12.0.1 - размещение береговых полос водных объектов общего пользования, скверов, бульваров, парков, садов, велодорожек и объектов велотранспортной инфраструктуры, малых архитектурных форм | 0,17 | Техническая зона инженерных коммуникаций - 0,17 га | |
| 14 | 12.0.1 - размещение береговых полос водных объектов общего пользования, скверов, бульваров, парков, садов, велодорожек и объектов велотранспортной инфраструктуры, малых архитектурных форм | 0,76 | Техническая зона инженерных коммуникаций - 0,76 га | |
| 17 | Ф - фактическое использование2 | 0,17 | Озелененная территория общего пользования - 0,17 га; водоохранная зона - 0,02 га | |
Итого неразграниченные территории | 2,2 | - | ||
Всего: | 29,07 | - | ||
_______________
2- Фактическое использование - в качестве основных видов разрешенного использования земельных участков и объектов капитального строительства устанавливаются виды разрешенного использования упомянутых земельных участков и объектов капитального строительства, сведения о которых содержатся в Едином государственном реестре недвижимости.
4. Мероприятия по реализации проекта планировки территории и последовательность их выполнения
Проектом планировки территории предусматривается осуществление мероприятий по развитию проектируемой территории в один этап.
Проектом планировки предусматривается освобождение территории - вывод гаражных комплексов (участки N 1, 2, 3, 5, 13, 14, 16 на плане "Функционально-планировочная организация территории" и на плане "Границы зон планируемого размещения объектов").
Также проектом планировки предусматривается строительство:
- многоквартирных домов со встроенно-пристроенными нежилыми помещениями, с дошкольной образовательной организацией на 100 мест (участок N 1);
- общеобразовательной школы емкостью на 750 мест (участок N 2);
- дошкольной образовательной организации на 225 мест (участок N 3).
До начала строительства многоквартирных домов необходимо предусмотреть проведение мероприятий за счет средств инвестора по сокращению ориентировочной санитарно-защитной зоны от АЗС (участок N 7 на плане "Межевание территории") и автотехцентра (участок N 8 на плане "Функционально-планировочная организация территории" и на плане "Границы зон планируемого размещения объектов").
Проектом планировки предусматривается реконструкция здания автотехцентра с размещением предприятия быстрого питания (участок N 8 на плане "Функционально-планировочная организация территории" и на плане "Границы зон планируемого размещения объектов").
В целях развития инженерно-технического обеспечения территории предусматриваются строительство и реконструкция инженерных коммуникаций и объектов:
- водоснабжение - прокладка водопроводной сети протяженностью 0,92 км Д = 250 мм;
- канализование - перекладка участка коллектора Д= 1 000 мм; строительство внутриквартальных сетей Д=200-300 мм;
- дождевая канализация - прокладка дополнительной и частичной перекладки существующей сети дождевой канализации Д=900-2000 мм общей протяженностью 0,7 км;
- теплоснабжение - строительство тепловых сетей 2Д = 200 мм и 2Д = 125 мм протяженностью 0,5 км;
- электроснабжение - строительство кабельных линий общей протяженностью 6,5 км;
- телефонизация - строительство телефонной канализации общей протяженностью 0,8 км.
В целях благоустройства территории предусматривается (номер участка на плане "Функционально-планировочная организация территории" и на плане "Границы зон планируемого размещения объектов"):
- размещение спортивных площадок (участок N 4);
- размещение открытой автостоянки на 400 машино-мест (участок N 5);
- озеленение территории (участки N 13, 14 на плане "Функционально-планировочная организация территории" и на плане "Границы зон планируемого размещения объектов").
Для развития транспортной инфраструктуры территории предусматриваются строительство проектируемого проезда N 1523, размещение светофорных объектов и оборудование остановок общественного транспорта на улице Озерная (участок N 16 на плане "Функционально-планировочная организация территории" и на плане "Границы зон планируемого размещения объектов").
Приложение 2
к постановлению Правительства Москвы
от 23 июля 2019 г. N 935-ПП
Схема границ объекта природного комплекса N 117
Западного административною округа города Москвы
"Долина р. Очаковкн от пр. N 1523 до ул. Лобачевского"
Приложение 3
к постановлению Правительства Москвы
от 23 июля 2019 г. N 935-ПП
Схема границ объекта природного комплекса N 204
Западного административного округа города Москвы
"Озеленённая территория вдоль улицы Терёшково"
Приложение 4
к постановлению Правительства Москвы
от 23 толя 2019 г. N 935-ПП
Схема границ объекта природного комплекса N 205
Западного административного округа города Москвы
"Озелененная территория по Новомещерскому проезду"
Приложение 5
к постановлению Правительства Москвы
от 23 июля 2019 г. N 935-ПП
Внесение изменений в приложение 1 к постановлению
Правительства Москвы от 19 января 1999 г. N 38
ПЕРЕЧЕНЬ ТЕРРИТОРИЙ ПРИРОДНОГО КОМПЛЕКСА Г. МОСКВЫ (кроме особо охраняемых природных территорий и объектов Природного комплекса Центрального административного округа)
N N объекта на плане | Наименование территорий и объектов Природного комплекса | N N режимов регулирования градостроительной деятельности | Площадь, га |
1 | 2 | 3 | 4 |
Западный АО | |||
117 | Долина р. Очаковки от пр. N 1523 до ул. Лобачевского | Озелененная территория общего пользования | 10,08 |
204 | Озелененная территория вдоль улицы Герёшково | Озелененная территория общего пользования | 0,95 |
205 | Озелененная территория по Новомещерскому проезду | Озелененная территория общего пользования | 5,76 |
